- Abrazo simbólico y fuerte reclamo de APROSA: “No hay respuestas y el sistema está al límite”
- El Municipio impulsa beneficios para docentes: pagarán doble título y buscan jerarquizar el sistema educativo local
- Suba del barril: las exportaciones de crudo y gas podrían aportar este año entre US$2300 y US$9000 millones más, ¿qué harán las petroleras con ese ingreso inesperado?
- Abrazo simbólico al Hospital Zonal expone la crisis sanitaria y salarial
- "Apagón" del Servicio Meteorológico este viernes: advierten por demoras en vuelos en todo el país
- Guerra en Medio Oriente: las ocho claves de lo que gana, pierde y arriesga Vaca Muerta
- Senadora Gadano impulsa jornada sobre salud mental y adicciones
- Jóvenes artistas de la Escuela VMG representarán a la región en Italia tras clasificar a la Performer Cup
- Avanza la obra sobre la colectora de Ruta Provincial N° 12 para mejorar la circulación
- Fuerte rechazo a la posible privatización de servicios públicos y sin respaldo al recorte salarial
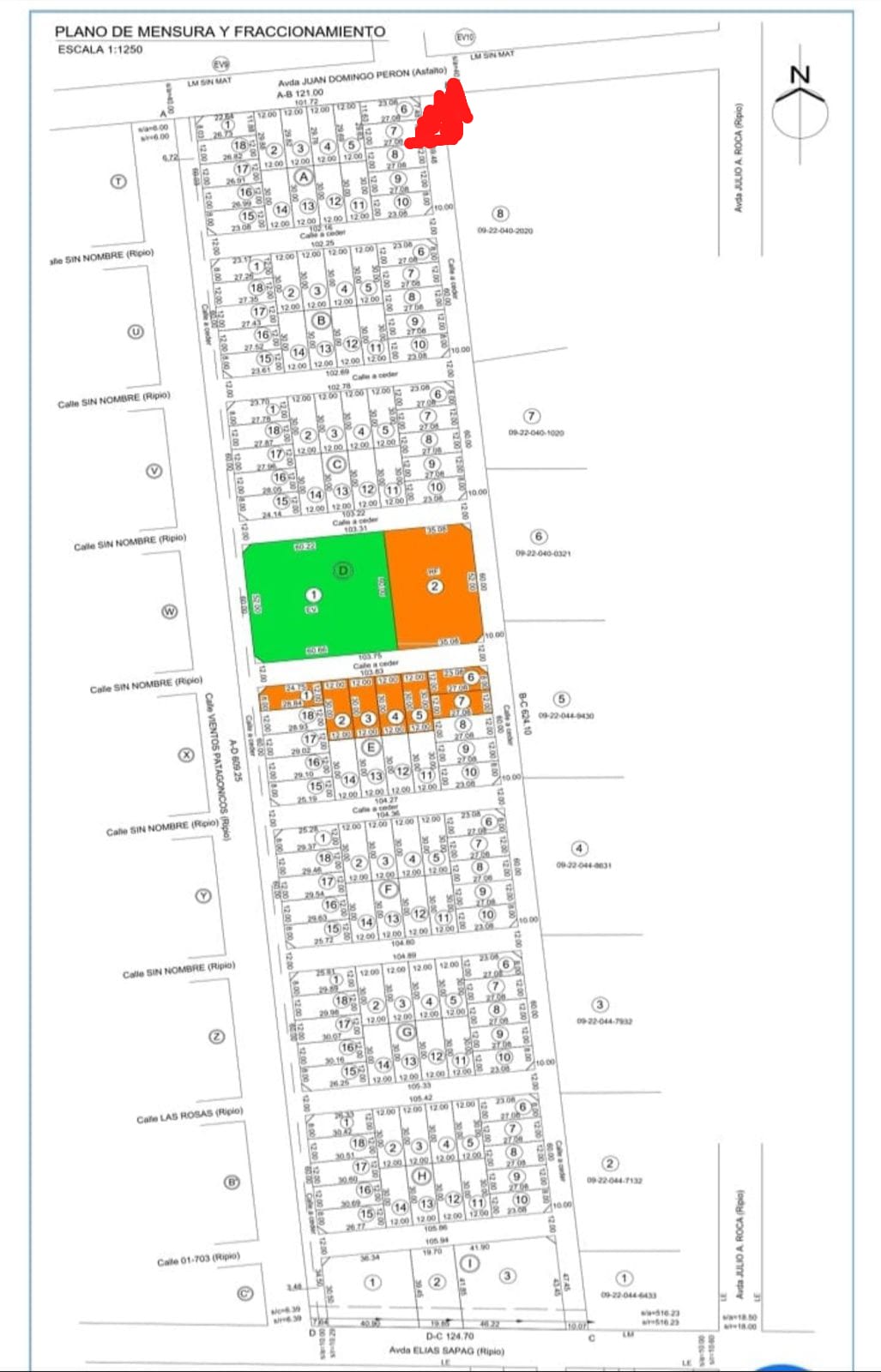
Familias de Plottier denuncian estafa por loteo sin servicios
Alrededor de 80 familias que compraron terrenos en un loteo de Plottier hace siete años, sin embargo, aún no tienen acceso a servicios básicos como luz, agua y gas, y piden que el municipio intervenga para resolver el problema.
- Por El Caletense | 20/01/2026
La comercialización del desarrollo comenzó en 2019, en un predio que antiguamente era una chacra, en cercanías de la intersección de la avenida Roca y la calle Percy Clark. Para descartar inconvenientes catastrales, los afectados recurrieron al Ejecutivo municipal para consultar sobre la viabilidad del loteo llamado «Fontana». Allí se entrevistaron con la dirección de Obras Particulares, que, según afirmaron, en ese entonces estaba a cargo del actual intendente Luis Bertolini.
«Nos dijeron que el loteo era factible y que podíamos comprar con tranquilidad», recordó Verónica Miranda, una de las compradoras afectadas y vocera del reclamo. «Lo único que hicieron fueron dos cuadras de cordón cuneta».
La mujer indicó que los terrenos tuvieron una amplia difusión en la ciudad, incluso con la instalación de dos carteles publicitarios en arterias intensamente transitadas de Plottier. Sin embargo, el paso de los años y la demora de las obras para llevar los servicios alertaron a las familias, que decidieron ponerse en contacto con el desarrollador de forma conjunta para saber qué estaba pasando.
El hombre, de apellido Lezcano, les dijo que los trabajos se iban a concretar y dio plazos para su ejecución que finalmente no se cumplieron. «Eso pasó una innumerable cantidad de veces y lo único que se hizo fueron dos cuadras de cordón cuneta».
La preocupación se trasladó entonces al Concejo Deliberante de Plottier, en el que realizaron una presentación, y a la municipalidad local. Esta última los recibió una vez más a través de la dirección de Obras Particulares, donde se les explicó que, aunque el expediente del loteo existía, todavía faltaban sellos y la conclusión formal del trámite.
Una versión diferente
Ante la consulta, fuentes oficiales indicaron que el conflicto se originó por el loteador, que comenzó a comercializar los lotes aunque los pasos administrativos para habilitar el barrio no se habían completado. De acuerdo a lo establecido por ordenanza, en Plottier existen tres instancias antes de que un proyecto consiga el visto bueno definitivo.
En este caso, explicaron, el desarrollador solo envió una nota para consultar sobre la viabilidad de la iniciativa. «Se le contestó que era factible, lo que no quería decir que podía empezar a vender», añadieron desde el municipio.
Además, indicaron que en cercanías a la fallida urbanización se ubicaron otros desarrollos que completaron la documentación y pudieron comercializarse sin dificultades.
El pedido de los damnificados: «Queremos ver al intendente esta vez»
El último contacto de los damnificados con la empresa desarrolladora fue en diciembre y ahora piden que sea la municipalidad la que intervenga como mediadora entre ellos, el privado y quien fue el propietario de las tierras, al que también vinculan con el proyecto urbanístico.
Las familias cuestionaron a la comuna por «intentar desligarse» del tema. En principio, el gobierno local se comprometió a recibirlos durante el mes de febrero. «Queremos ver al intendente esta vez», dijo Miranda.
Otras noticias que pueden interesarte
Basural de Río Gallegos: ultimátum judicial al municipio
La Justicia ordenó al municipio de Río Gallegos presentar en 20 días un plan ...
Aumenta la producción en Minera Don Nicolás de Santa Cruz mientras va al desarrollo subterráneo
Cerrado Gold anunció los resultados de producción del primer trimestre de la m...
El guanaco en Santa Cruz: entre el desafío ambiental y su potencial nutricional
Estudiantes de la Escuela del Viento de Río Gallegos presentaron un informe sob...
Inauguración de los Juegos de la Integración Patagónica 2026 en Santa Cruz
Río Gallegos fue sede de la apertura de los Juegos de la Integración Patagóni...
28 de Abril: El Gobierno Provincial inaugurará la Sala de Tomografía del Hospital Distrital de Río Turbio
Se trata de un hecho trascendente para el sistema de salud de la Cuenca Carboní...
AMET convocó a un paro de 72 horas en Santa Cruz y reclama urgente convocatoria a paritarias
El gremio, anunció un paro de actividades por 72 horas que se llevará adelante...
Conocé la agenda de Santa Cruz en la Feria Internacional del Libro 2026
La provincia participará de la Feria Internacional del Libro de Buenos Aires co...
Vidal recorrió obras ferroviarias en Jaramillo y apuesta a reactivar el tren en Santa Cruz
El mandatario provincial supervisó el avance de las obras de recuperación del ...
Godoy anticipa definiciones en la representación de la oposición en el Tribunal de Cuentas
Tras la designación de Marilina Jaramillo como titular del organismo de control...
El Gobierno provincial financiará el traslado de un avión para la Escuela Industrial N° 6
En el marco de gestiones administrativas y logísticas en curso, el Ejecutivo pr...
Docentes de Santa Cruz convocan a un paro de 72 horas y profundizan sus reclamos
En un congreso provincial, ADOSAC resolvió una medida de fuerza por 72 horas y ...
Instalan torre de vigilancia móvil para reforzar la seguridad en Río Gallegos
El Gobierno de Santa Cruz instaló una torre de vigilancia móvil en el barrio E...
























